BLOG
部落格結構式鼻整形的威力
美容整形
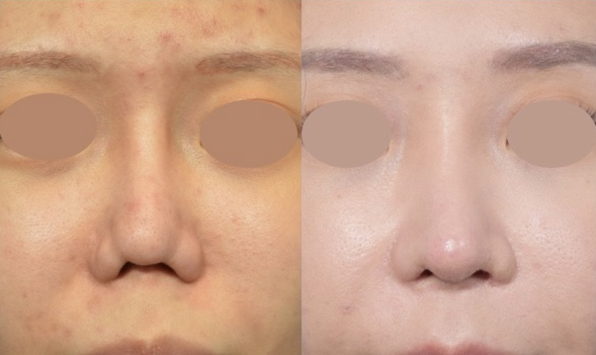
距今約7年前,這位傷心欲絕的歐小姐來到信恩美醫診所,流淚述說她基於想當模特兒的職場需要,而追尋美鼻整形的不堪往事!起因是她對原本也不是太差的天生鼻型,感到不滿意,於是努力追尋美鼻的夢想,但沒想到手術出了狀況,原本的醫師也很盡力的為她鼻子著想,連續動了幾次補救手術,但是很不幸都沒有成功!
更令她難過的是,不知何故,鼻中柱與鼻中隔軟骨之間的眽狀區域,組織都壞死,導致整個鼻中柱皮膚,嚴重朝天上縮達1公分左右!
她的鼻樑已在之前植入自體肋軟骨隆高,但外觀看起來鼻樑稍細,眉心未矯正完全。兩邊鼻孔攣縮變小很明顯。
電腦模擬顯示她的鼻子要拉長1公分左右,才會好看,因此和她討論,她說怕留疤,盡可能不用前額皮瓣 (forehead flap)
這樣的堅持是有她的道理,畢竟還那麼年輕,留下一條縱貫額頭中心的疤痕,總是有些遺憾!
可是該如何幫她呢?
本診所醫師們討論再討論,遍查學術資料,回顧過去我們所累積的臨床經驗,有了如下的結論:
歐小姐的鼻中隔從未動過手術,鼻中柱的皮膚還在,只是縮進鼻腔中,判斷應該可以剝離鼻中隔黏膜重新使用。鼻從近鼻咽深部作切開,成為 雙蒂粘膜軟骨膜-骨膜瓣(bipedicle mucoperichondial-periosteal flap),再盡可能將此黏膜皮瓣拉向鼻中柱,
這樣就可以將短鼻作部分拉長。 但因模擬預估,鼻子總共需要延長一公分左右,估計鼻中隔黏膜的伸展要花費幾個月時間,才能再次拉長。
我們問歐小姐,這將是一個漫長的鼻型美容重建過程,妳願意努力配合,勇敢的撐過這樣艱難的歷程嗎?她很肯定的點頭答應了!
從2014年5月至2016年8月,一共使用肋軟骨,作了四次結構式延長鼻子的手術。之後又作了三次鼻翼修改手術,感謝長庚蕭彥彰醫師,在張衍爐醫師罹重病時接棒修整歐小姐的鼻翼,及張睿紘醫師進一步將鼻頭鼻翼再整修到自然美的高挺!
最後總算不用前額皮瓣,只是分階段將鼻腔內的鼻中隔黏膜皮瓣拉長,把鼻子長度延展到電腦模擬的美鼻長度!
我們三位醫師達成了不可能的任務!
有一天回診時,歐小姐很感動的問說,你們這些醫師為什麼對她這麽好?
張醫師說:
醫者仁心是我們的本份,學醫初衷本來就是要成為別人的祝福!

